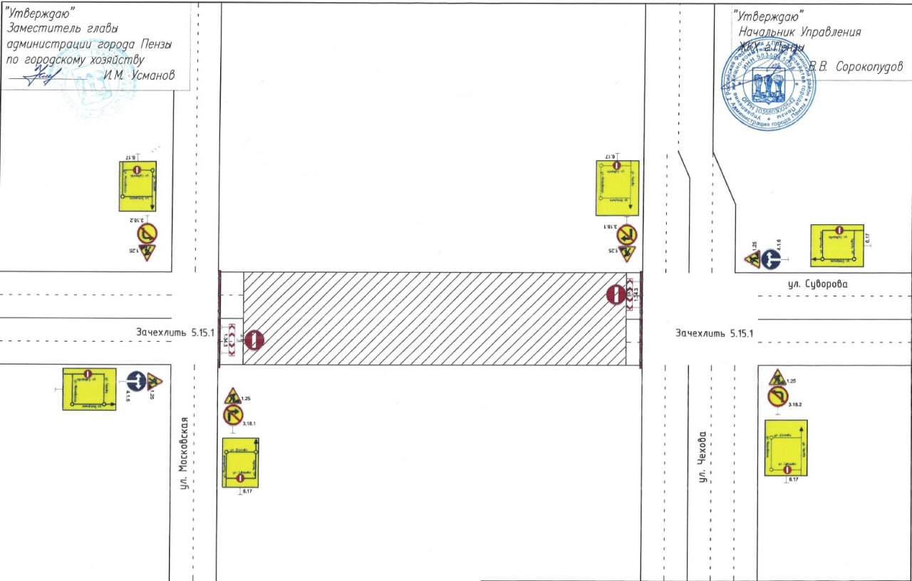
На улице Суворова в Пензе перекроют участок проезжей части
Жителей и гостей Пензы предупреждают об изменении схемы движения транспорта в районе улицы Суворова.
Как сообщили в управлении ЖКХ города Пензы, с 20:00 19 сентября до 20:00 24 сентября будет временно перекрыто движение на проезжей части дороги по улице Суворова (на участке от пересечения с улицей Московской до пересечения с улицей Чехова).
По словам чиновников, указанные ограничения связаны с выполнением переустройства сетей водопровода и хозяйственно-фекальной канализации.
Граждан попросили учитывать изменения в схеме движения транспорта при построении маршрута.

Ранее мы писали о том, что в период с 8:00 17 сентября до 1 октября в Пензе будет введен еще один запрет на проезд автомобилей. Ограничения будут действовать в районе дома № 33 по улице Богданова из-за необходимости проведения плановых работ по технологическому присоединению объекта газоснабжения.
